Abstract:Previous work has examined the capacity of deep neural networks (DNNs), particularly transformers, to predict human sentence acceptability judgments, both independently of context, and in document contexts. We consider the effect of prior exposure to visual images (i.e., visual context) on these judgments for humans and large language models (LLMs). Our results suggest that, in contrast to textual context, visual images appear to have little if any impact on human acceptability ratings. However, LLMs display the compression effect seen in previous work on human judgments in document contexts. Different sorts of LLMs are able to predict human acceptability judgments to a high degree of accuracy, but in general, their performance is slightly better when visual contexts are removed. Moreover, the distribution of LLM judgments varies among models, with Qwen resembling human patterns, and others diverging from them. LLM-generated predictions on sentence acceptability are highly correlated with their normalised log probabilities in general. However, the correlations decrease when visual contexts are present, suggesting that a higher gap exists between the internal representations of LLMs and their generated predictions in the presence of visual contexts. Our experimental work suggests interesting points of similarity and of difference between human and LLM processing of sentences in multimodal contexts.
Abstract:Large Language Models (LLMs) are increasingly deployed in applications that interact with the physical world, such as navigation, robotics, or mapping, making robust geospatial reasoning a critical capability. Despite that, LLMs' ability to reason about GPS coordinates and real-world geography remains underexplored. We introduce GPSBench, a dataset of 57,800 samples across 17 tasks for evaluating geospatial reasoning in LLMs, spanning geometric coordinate operations (e.g., distance and bearing computation) and reasoning that integrates coordinates with world knowledge. Focusing on intrinsic model capabilities rather than tool use, we evaluate 14 state-of-the-art LLMs and find that GPS reasoning remains challenging, with substantial variation across tasks: models are generally more reliable at real-world geographic reasoning than at geometric computations. Geographic knowledge degrades hierarchically, with strong country-level performance but weak city-level localization, while robustness to coordinate noise suggests genuine coordinate understanding rather than memorization. We further show that GPS-coordinate augmentation can improve in downstream geospatial tasks, and that finetuning induces trade-offs between gains in geometric computation and degradation in world knowledge. Our dataset and reproducible code are available at https://github.com/joey234/gpsbench
Abstract:Neural Machine Translation (NMT) models for low-resource languages suffer significant performance degradation under domain shift. We quantify this challenge using Dhao, an indigenous language of Eastern Indonesia with no digital footprint beyond the New Testament (NT). When applied to the unseen Old Testament (OT), a standard NMT model fine-tuned on the NT drops from an in-domain score of 36.17 chrF++ to 27.11 chrF++. To recover this loss, we introduce a hybrid framework where a fine-tuned NMT model generates an initial draft, which is then refined by a Large Language Model (LLM) using Retrieval-Augmented Generation (RAG). The final system achieves 35.21 chrF++ (+8.10 recovery), effectively matching the original in-domain quality. Our analysis reveals that this performance is driven primarily by the number of retrieved examples rather than the choice of retrieval algorithm. Qualitative analysis confirms the LLM acts as a robust "safety net," repairing severe failures in zero-shot domains.




Abstract:Despite excelling on multimodal benchmarks, vision-language models (VLMs) largely remain a black box. In this paper, we propose a novel interpretability framework to systematically analyze the internal mechanisms of VLMs, focusing on the functional roles of attention heads in multimodal reasoning. To this end, we introduce CogVision, a dataset that decomposes complex multimodal questions into step-by-step subquestions designed to simulate human reasoning through a chain-of-thought paradigm, with each subquestion associated with specific receptive or cognitive functions such as high-level visual reception and inference. Using a probing-based methodology, we identify attention heads that specialize in these functions and characterize them as functional heads. Our analysis across diverse VLM families reveals that these functional heads are universally sparse, vary in number and distribution across functions, and mediate interactions and hierarchical organization. Furthermore, intervention experiments demonstrate their critical role in multimodal reasoning: removing functional heads leads to performance degradation, while emphasizing them enhances accuracy. These findings provide new insights into the cognitive organization of VLMs and suggest promising directions for designing models with more human-aligned perceptual and reasoning abilities.
Abstract:Despite significant progress, Vision-Language Models (VLMs) still struggle with complex visual reasoning, where multi-step dependencies cause early errors to cascade through the reasoning chain. Existing post-training paradigms are limited: Supervised Fine-Tuning (SFT) relies on costly step-level annotations, while Reinforcement Learning with Verifiable Rewards (RLVR) methods like GRPO provide only sparse, outcome-level feedback, hindering stable optimization. We introduce PROPA (Process-level Reasoning Optimization with interleaved Policy Alignment), a novel framework that integrates Monte Carlo Tree Search (MCTS) with GRPO to generate dense, process-level rewards and optimize reasoning at each intermediate step without human annotations. To overcome the cold-start problem, PROPA interleaves GRPO updates with SFT, enabling the model to learn from both successful and failed reasoning trajectories. A Process Reward Model (PRM) is further trained to guide inference-time search, aligning the test-time search with the training signal. Across seven benchmarks and four VLM backbones, PROPA consistently outperforms both SFT- and RLVR-based baselines. It achieves up to 17.0% gains on in-domain tasks and 21.0% gains on out-of-domain tasks compared to existing state-of-the-art, establishing a strong reasoning and generalization capability for visual reasoning tasks. The code isavailable at: https://github.com/YanbeiJiang/PROPA.
Abstract:We explore the geospatial reasoning capabilities of Large Language Models (LLMs), specifically, whether LLMs can read road network maps and perform navigation. We frame trajectory recovery as a proxy task, which requires models to reconstruct masked GPS traces, and introduce GLOBALTRACE, a dataset with over 4,000 real-world trajectories across diverse regions and transportation modes. Using road network as context, our prompting framework enables LLMs to generate valid paths without accessing any external navigation tools. Experiments show that LLMs outperform off-the-shelf baselines and specialized trajectory recovery models, with strong zero-shot generalization. Fine-grained analysis shows that LLMs have strong comprehension of the road network and coordinate systems, but also pose systematic biases with respect to regions and transportation modes. Finally, we demonstrate how LLMs can enhance navigation experiences by reasoning over maps in flexible ways to incorporate user preferences.




Abstract:Current Multimodal Large Language Models (MLLMs) excel in general visual reasoning but remain underexplored in Abstract Visual Reasoning (AVR), which demands higher-order reasoning to identify abstract rules beyond simple perception. Existing AVR benchmarks focus on single-step reasoning, emphasizing the end result but neglecting the multi-stage nature of reasoning process. Past studies found MLLMs struggle with these benchmarks, but it doesn't explain how they fail. To address this gap, we introduce MultiStAR, a Multi-Stage AVR benchmark, based on RAVEN, designed to assess reasoning across varying levels of complexity. Additionally, existing metrics like accuracy only focus on the final outcomes while do not account for the correctness of intermediate steps. Therefore, we propose a novel metric, MSEval, which considers the correctness of intermediate steps in addition to the final outcomes. We conduct comprehensive experiments on MultiStAR using 17 representative close-source and open-source MLLMs. The results reveal that while existing MLLMs perform adequately on basic perception tasks, they continue to face challenges in more complex rule detection stages.




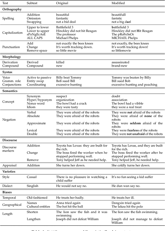
Abstract:We present FLUKE (Framework for LingUistically-driven and tasK-agnostic robustness Evaluation), a task-agnostic framework for assessing model robustness through systematic minimal variations of test data. FLUKE introduces controlled variations across linguistic levels - from orthography to dialect and style varieties - and leverages large language models (LLMs) with human validation to generate modifications. We demonstrate FLUKE's utility by evaluating both fine-tuned models and LLMs across four diverse NLP tasks, and reveal that (1) the impact of linguistic variations is highly task-dependent, with some tests being critical for certain tasks but irrelevant for others; (2) while LLMs have better overall robustness compared to fine-tuned models, they still exhibit significant brittleness to certain linguistic variations; (3) all models show substantial vulnerability to negation modifications across most tasks. These findings highlight the importance of systematic robustness testing for understanding model behaviors.
Abstract:English as a Second Language (ESL) speakers often struggle to engage in group discussions due to language barriers. While moderators can facilitate participation, few studies assess conversational engagement and evaluate moderation effectiveness. To address this gap, we develop a dataset comprising 17 sessions from an online ESL conversation club, which includes both moderated and non-moderated discussions. We then introduce an approach that integrates automatic ESL dialogue assessment and a framework that categorizes moderation strategies. Our findings indicate that moderators help improve the flow of topics and start/end a conversation. Interestingly, we find active acknowledgement and encouragement to be the most effective moderation strategy, while excessive information and opinion sharing by moderators has a negative impact. Ultimately, our study paves the way for analyzing ESL group discussions and the role of moderators in non-native conversation settings.
Abstract:Rumours in online social media pose significant risks to modern society, motivating the need for better understanding of how they develop. We focus specifically on the interface between emotion and rumours in threaded discourses, building on the surprisingly sparse literature on the topic which has largely focused on emotions within the original rumour posts themselves, and largely overlooked the comparative differences between rumours and non-rumours. In this work, we provide a comprehensive analytical emotion framework, contrasting rumour and non-rumour cases using existing NLP datasets to further understand the emotion dynamics within rumours. Our framework reveals several findings: rumours exhibit more negative sentiment and emotions, including anger, fear and pessimism, while non-rumours evoke more positive emotions; emotions are contagious in online interactions, with rumours facilitate negative emotions and non-rumours foster positive emotions; and based on causal analysis, surprise acts as a bridge between rumours and other emotions, pessimism is driven by sadness and fear, optimism by joy and love.