National Research Council of Canada
Abstract:Cellular automata are computers, similar to Turing machines. The main difference is that Turing machines use a one-dimensional tape, whereas cellular automata use a two-dimensional grid. The best-known cellular automaton is the Game of Life, which is a universal computer. It belongs to a family of cellular automata with 262,144 members. Playing the Game of Life generally involves engineering; that is, assembling a device composed of various parts that are combined to achieve a specific intended result. Instead of engineering cellular automata, we propose evolving cellular automata. Evolution applies mutation and selection to a population of organisms. If a mutation increases the fitness of an organism, it may have many descendants, displacing the less fit organisms. Unlike engineering, evolution does not work towards an imagined goal. Evolution works towards increasing fitness, with no expectations about the specific form of the final result. Mutation, selection, and fitness yield structures that appear to be more organic and life-like than engineered structures. In our experiments, the patterns resulting from evolving cellular automata look much like the spots on leopards and the stripes on tigers.
Abstract:Given recent successes in AI (e.g., AlphaGo's victory against Lee Sedol in the game of GO), it's become increasingly important to assess: how close are AI systems to human-level intelligence? This paper describes the Allen AI Science Challenge---an approach towards that goal which led to a unique Kaggle Competition, its results, the lessons learned, and our next steps.



Abstract:We describe two new related resources that facilitate modelling of general knowledge reasoning in 4th grade science exams. The first is a collection of curated facts in the form of tables, and the second is a large set of crowd-sourced multiple-choice questions covering the facts in the tables. Through the setup of the crowd-sourced annotation task we obtain implicit alignment information between questions and tables. We envisage that the resources will be useful not only to researchers working on question answering, but also to people investigating a diverse range of other applications such as information extraction, question parsing, answer type identification, and lexical semantic modelling.




Abstract:The importance of a research article is routinely measured by counting how many times it has been cited. However, treating all citations with equal weight ignores the wide variety of functions that citations perform. We want to automatically identify the subset of references in a bibliography that have a central academic influence on the citing paper. For this purpose, we examine the effectiveness of a variety of features for determining the academic influence of a citation. By asking authors to identify the key references in their own work, we created a data set in which citations were labeled according to their academic influence. Using automatic feature selection with supervised machine learning, we found a model for predicting academic influence that achieves good performance on this data set using only four features. The best features, among those we evaluated, were those based on the number of times a reference is mentioned in the body of a citing paper. The performance of these features inspired us to design an influence-primed h-index (the hip-index). Unlike the conventional h-index, it weights citations by how many times a reference is mentioned. According to our experiments, the hip-index is a better indicator of researcher performance than the conventional h-index.




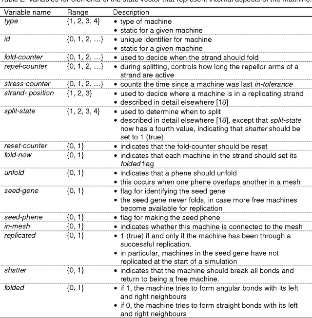
Abstract:It has been argued that a central objective of nanotechnology is to make products inexpensively, and that self-replication is an effective approach to very low-cost manufacturing. The research presented here is intended to be a step towards this vision. In previous work (JohnnyVon 1.0), we simulated machines that bonded together to form self-replicating strands. There were two types of machines (called types 0 and 1), which enabled strands to encode arbitrary bit strings. However, the information encoded in the strands had no functional role in the simulation. The information was replicated without being interpreted, which was a significant limitation for potential manufacturing applications. In the current work (JohnnyVon 2.0), the information in a strand is interpreted as instructions for assembling a polygonal mesh. There are now four types of machines and the information encoded in a strand determines how it folds. A strand may be in an unfolded state, in which the bonds are straight (although they flex slightly due to virtual forces acting on the machines), or in a folded state, in which the bond angles depend on the types of machines. By choosing the sequence of machine types in a strand, the user can specify a variety of polygonal shapes. A simulation typically begins with an initial unfolded seed strand in a soup of unbonded machines. The seed strand replicates by bonding with free machines in the soup. The child strands fold into the encoded polygonal shape, and then the polygons drift together and bond to form a mesh. We demonstrate that a variety of polygonal meshes can be manufactured in the simulation, by simply changing the sequence of machine types in the seed.
Abstract:JohnnyVon is an implementation of self-replicating machines in continuous two-dimensional space. Two types of particles drift about in a virtual liquid. The particles are automata with discrete internal states but continuous external relationships. Their internal states are governed by finite state machines but their external relationships are governed by a simulated physics that includes Brownian motion, viscosity, and spring-like attractive and repulsive forces. The particles can be assembled into patterns that can encode arbitrary strings of bits. We demonstrate that, if an arbitrary "seed" pattern is put in a "soup" of separate individual particles, the pattern will replicate by assembling the individual particles into copies of itself. We also show that, given sufficient time, a soup of separate individual particles will eventually spontaneously form self-replicating patterns. We discuss the implications of JohnnyVon for research in nanotechnology, theoretical biology, and artificial life.




Abstract:JohnnyVon is an implementation of self-replicating automata in continuous two-dimensional space. Two types of particles drift about in a virtual liquid. The particles are automata with discrete internal states but continuous external relationships. Their internal states are governed by finite state machines but their external relationships are governed by a simulated physics that includes brownian motion, viscosity, and spring-like attractive and repulsive forces. The particles can be assembled into patterns that can encode arbitrary strings of bits. We demonstrate that, if an arbitrary "seed" pattern is put in a "soup" of separate individual particles, the pattern will replicate by assembling the individual particles into copies of itself. We also show that, given sufficient time, a soup of separate individual particles will eventually spontaneously form self-replicating patterns. We discuss the implications of JohnnyVon for research in nanotechnology, theoretical biology, and artificial life.