



Abstract:With the goal of supporting scalable lexical semantic annotation, analysis, and theorizing, we conduct a comprehensive evaluation of different methods for generating event descriptions under both syntactic constraints -- e.g. desired clause structure -- and semantic constraints -- e.g. desired verb sense. We compare three different methods -- (i) manual generation by experts; (ii) sampling from a corpus annotated for syntactic and semantic information; and (iii) sampling from a language model (LM) conditioned on syntactic and semantic information -- along three dimensions of the generated event descriptions: (a) naturalness, (b) typicality, and (c) distinctiveness. We find that all methods reliably produce natural, typical, and distinctive event descriptions, but that manual generation continues to produce event descriptions that are more natural, typical, and distinctive than the automated generation methods. We conclude that the automated methods we consider produce event descriptions of sufficient quality for use in downstream annotation and analysis insofar as the methods used for this annotation and analysis are robust to a small amount of degradation in the resulting event descriptions.




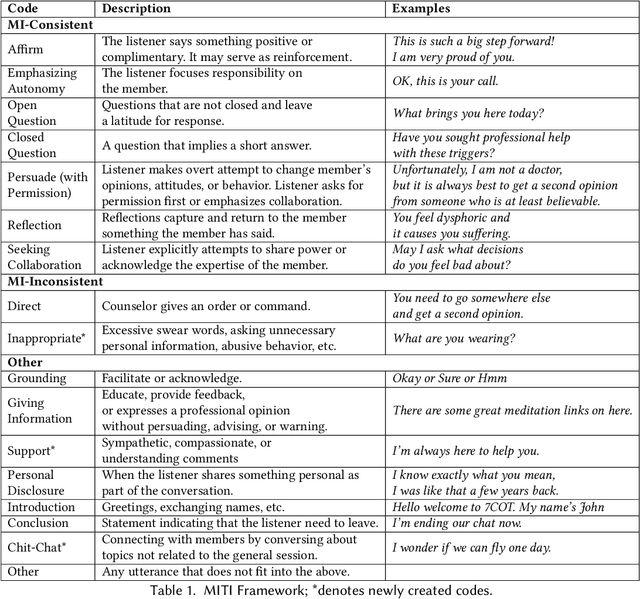
Abstract:Millions of people participate in online peer-to-peer support sessions, yet there has been little prior research on systematic psychology-based evaluations of fine-grained peer-counselor behavior in relation to client satisfaction. This paper seeks to bridge this gap by mapping peer-counselor chat-messages to motivational interviewing (MI) techniques. We annotate 14,797 utterances from 734 chat conversations using 17 MI techniques and introduce four new interviewing codes such as chit-chat and inappropriate to account for the unique conversational patterns observed on online platforms. We automate the process of labeling peer-counselor responses to MI techniques by fine-tuning large domain-specific language models and then use these automated measures to investigate the behavior of the peer counselors via correlational studies. Specifically, we study the impact of MI techniques on the conversation ratings to investigate the techniques that predict clients' satisfaction with their counseling sessions. When counselors use techniques such as reflection and affirmation, clients are more satisfied. Examining volunteer counselors' change in usage of techniques suggest that counselors learn to use more introduction and open questions as they gain experience. This work provides a deeper understanding of the use of motivational interviewing techniques on peer-to-peer counselor platforms and sheds light on how to build better training programs for volunteer counselors on online platforms.