


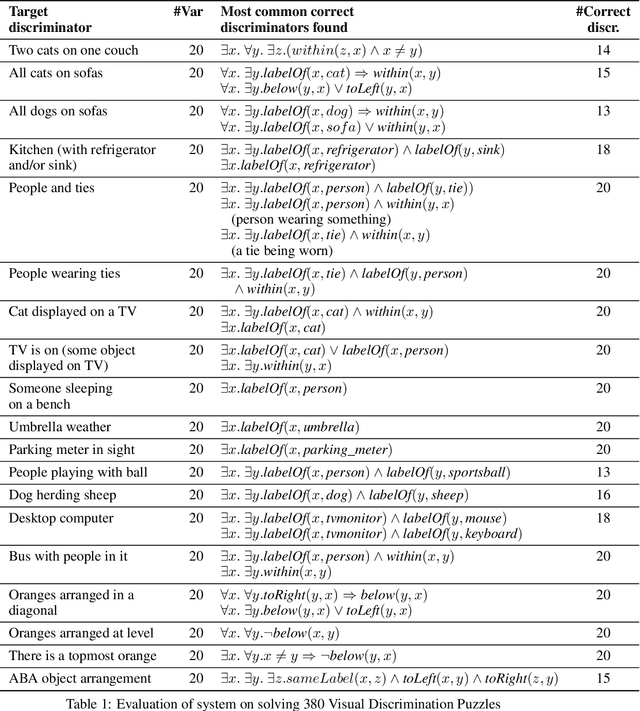
We propose symbolic learning as extensions to standard inductive learning models such as neural nets as a means to solve few shot learning problems. We device a class of visual discrimination puzzles that calls for recognizing objects and object relationships as well learning higher-level concepts from very few images. We propose a two-phase learning framework that combines models learned from large data sets using neural nets and symbolic first-order logic formulas learned from a few shot learning instance. We develop first-order logic synthesis techniques for discriminating images by using symbolic search and logic constraint solvers. By augmenting neural nets with them, we develop and evaluate a tool that can solve few shot visual discrimination puzzles with interpretable concepts.